Grande villa sur Lot 5 à PRY-lez-WALCOURT

PRY-lez-WALCOURT/Lot 5
5650 - Rue du Tombois - CLEF SUR PORTE 406.003,44 € hors frais - 486.763,27 € prête à vivre.

406.003€ hors TVA.le terrain et la villa en clé sur porte (hors cuisine)
Convient pour profession libérale avec possibilité de 50 m² de bureaux. Le projet est vendu au prix "du jour" qui est établi selon l'état d'avancement du chantier au jour de la vente. Ensuite le chantier est repris par l'architecte dans le cadre d'un contrat de chantier "par corps de métiers séparés". Nous pouvons vous communiquer des budgets prévisionnels qui sont des budgets réalistes qui vous permettront de terminer le chantier sans risque financier de sous-estimation. Plans et documents consultables en fin de page (fichiers PDF).
Description

Le TERRAIN + la CONSTRUCTION en CLE SUR PORTE (hors cuisine) = 406.003,44 € hors frais et TVA. ............................................. Convient pour profession libérale. ..................... Surface au sol : 106,82 m² en demi-niveau. Surface totale : 261,55 m².......... Avec caves de 49 m², aménageables en bureaux avec un accès privatif par l'extérieur et aussi avec un accès via l'intérieur de la maison. ......................................................................................................................... Plans et documents (pdf) en bas de page....................................................................................................................................................................................................................................................... >>>>> Les postes de parachèvements sont : Ventilation Mécanique Contrôlée de Type C+ ---> PLOMBERIE : comprend les tuyauteries d'adduction d'eau chaude et froide et leur évacution. ---> CHAUFFAGE : pompe à châleur VAILLANT avec chauffage sol au RDC ---> INSTALLATION ELECTRIQUE : complète et agréée. ---> CHAPES ISOLANTES projetées au sol et CHAPES béton. ---> PLAFONNAGE + isolant toiture. ---> CARRELAGE et PARQUET : faites votre choix dans de vastes gammmes. ---> SANITAIRES : il existe un très grand choix adaptés à votre budget. ---> ESCALIERS : escaliers en hêtre. ---> PORTES INTERIEURES : tubulaires, vaste choix de finition. ---> PANNEAUX PHOTOVOLTAÏQUES : 7.200 Wc.

Détails de prix
Villa en clé sur porte (hors cuisine) 329.003,44€ hors TVA. Prix informatif, non contractuel.
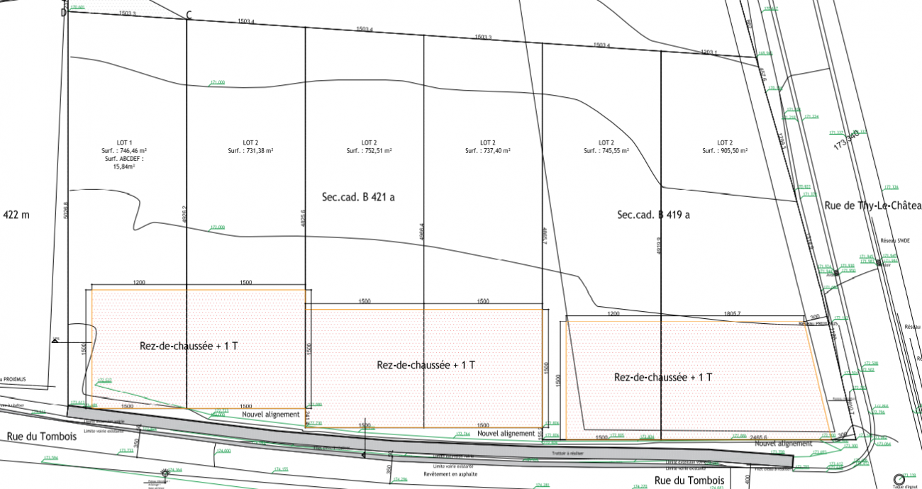
Terrain - 855m² 72.000€ hors frais de notaire et frais divers de lotissement.
TOTAL hors frais et hors TVA 406.003,44€ la villa et le terrain, hors frais et hors TVA
TVA 21% sur la construction 70.140,72€
Provision “frais” 10.619,11€ calculée pour 1 primo-propriétaire
TOTAL provision frais et TVA incluses 486.763,27€
Composition

Façade maison : 12,00 m.
HSC : 4,60 m. (façade avant).
niveau - 0,90 : sàm + cuisine (32,50 m²), buanderie (9,19 m²).
niveau +00 : hall, wc, salon (19,64 m²), garage (18,34 m²).
niveau +1,85 : hall, 1 chambre + dressing (18,95 m²),
SDB (8,40 m²), WC séparé.
niveau +2,75 : palier/bureau, 2 chambres (14,86 m² et 27,99 m²).
niveau - 2,40 : cave : +/-45,00 m²

Caractéristiques techniques

Bloc T.C. + isolant 14 cm + crépis.
Hourdis béton + chape de compression.
Tuiles plates noires en terre-cuite.
Zinc prépatiné noir.
Porte d'entrée en alu avec panneau Frageralu.
Portes fenêtres : levant-coulissant.
Terrasse sur hourdis.
Citerne E.P. 10.000 litres Tempo+.
Raccordement au réseau d'égouttage.
Parachèvements :
VMC type C
Plomberie
Chauffage PAC
Installation électrique
Chapes isolantes
Chapes de finition
Plafonnage
Carrelage
Sanitaires
Parquet des chambres
Escaliers
Portes intérieures tubulaires
Panneaux photovoltaïques (7.200 Wc)
(liste pouvant être soumise à modifications)

Surfaces

Surface bâtie au sol (murs inclus) : 106,82 m²
Surface totale habitable (murs inclus) : 261,55 m²
Cave (étage de sous-bassement) accessible par l'extérieur et
l'intérieur. Aménageable en bureau ou autre destination.
Surface nette utile (hors murs) = 219,97 m²

Votre futur revenu cadastral

Combien et quand ?

Pour votre nouvelle construction le revenu cadastral n'est pas encore fixé. Dans les 30 jours de l'occupation de votre nouvelle construction, vous devrez prévenir l'administration du cadastre. Cette administration vous signifiera le montant de votre revenu cadastral. C'est l'année qui suit cette signification que vous paierez pour la première fois votre précompte immobilier.

Pourquoi investir dans les briques ?

Pour améliorer vos revenus

  • À moyen ou à long terme, lorsque la charge de votre prêt hypthécaire se fera de moins en moins lourde, votre revenu mensuel s'en verra d'autant augmenté.

Pour sécuriser votre retraite

  • Après remboursement de votre ou de vos prêts hypothécaires et en approche de l'âge de la retraite, celle-ci sera bien plus confortable si vous pouvez compter sur des revenus locatifs ou sur du capital si vous décidez de vendre un ou plusieurs de vos immeubles.

Dans l'immédiat : pour payer moins d'impôts

  • Votre investissement immobilier vous procurera des avantages fiscaux non négligeables.
  • La législation actuelle est très favorable lorsque vous louez un immeuble pour un usage d'habitation privée.

Pour une protection contre l'inflation

  • L'inflation érode chaque année la valeur de votre capital financier.
  • Les placements bancaires ayant un rendement inféfieur à l'inflation, votre capital se dégrade un peu plus, au fur et à mesure des années qui passent
  • par contre, un revenu locatif est indexé.
  • tenant compte du fait que la mensualité de votre prêt hypothécaire peut être fixe durant toute la durée de celui-ci et que les taux d'intérêt sont actuellement très bas, tant votre capital immobilisé que votre revenu s'améliorent au lieu de se dégrader.

Pour réaliser une plus-value

  • les prix de l'immobilier résidentiel augmentent chaque année.
  • La Région Wallonne doit faire face à un "défi démographique" : il y a une pénurie de logement. Cette pénurie est une pression supplémentaire sur les prix de l'immobilier.
  • Résultat : au terme du paiement de votre investissement, vous pourrez bénéficier d'une plus-value non négligeable en cas de revente.

Simulateur de crédit

Vous désirez connaître le montant que vous pouvez emprunter ? Faites une simulation de votre prêt hypothécaire ! En à peine quelques minutes, vous obtenez une ébauche de votre solution de financement. Valeur du bien, durée du crédit, à quel taux, calcul des intérêts, … Nombreux sont les éléments qu’il faut prendre en compte en cas d’emprunt hypothécaire. Afin de vous faciliter la tâche, nous vous encourageons vivement à simuler votre prêt pour pouvoir avancer dans votre projet de vie.

Simulateur de crédit

Message envoyé avec succès.

Retour

Demande d'informations pour ce bien

Ce site utilise des cookies

Nous utilisons des cookies pour assurer le bon fonctionnement du site. Vous pouvez consulter nos mentions légales et notre politique de confidentialité pour plus d'informations.

Accepter les cookies Paramétrer les cookies